place
Наши филиалы: Гродно

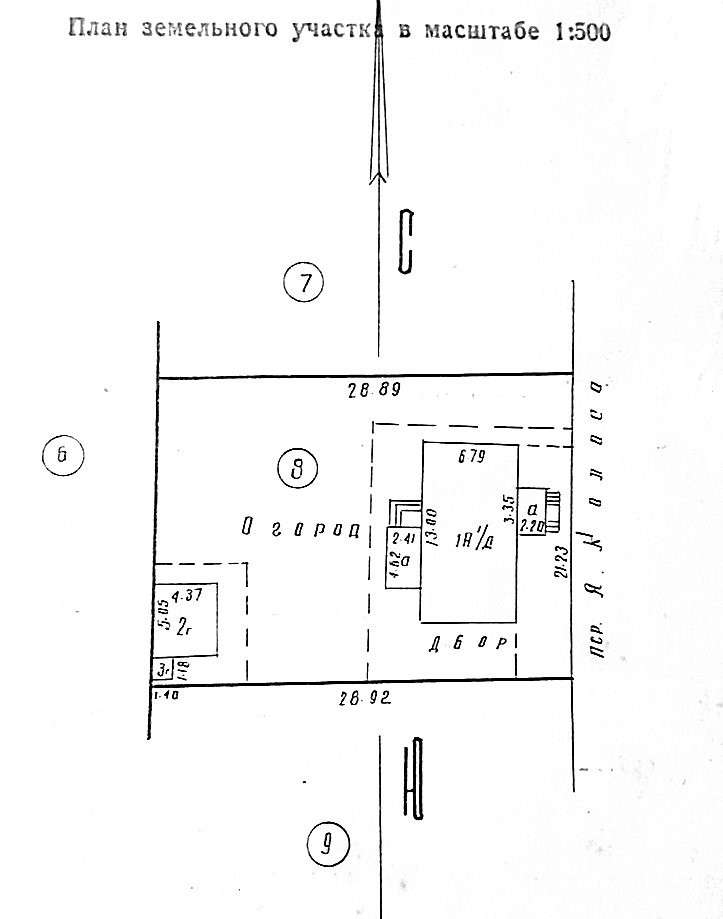
Продается жилой дом в Гродно пер. Якуба Коласа расположенный на участке площадью 6.13 соток (право пожизненного наследуемого владения).

Площадь дома 76.3 м2. Жилого помещения 60 м2.

Фундамент — бутобетон. Материал стен — брус. Крыша — металлочерепица и шифер. Окна ПВХ стеклопакеты и деревянные.

Дом под ремонт или снос.

Коммуникации: свет, газ, канализация центральная.

На участке есть такие постройки как: сарай.

Отличное месторасположение.

Поможем продать Вашу недвижимость для покупки этого дома!

За подробной информацией просьба обращаться по телефону и пишите Viber, Telegram.

130 617.63 BYN 45 900.00$ 1 711.89 BYN/м2 601.57$/м2
Предложить свою цену
Заполните телефон!
Введите цену или отметьте галочкой "Консультация по кредиту"
Нажимая "Отправить" я даю согласие на обработку персональных данных
Область
Гродненская область
Район области
Гродненский
Район
Октябрьский
Микрорайон
Собачья Горка
Участок, с
6.13
Площадь(О/Ж/К)
76.30/60.00/-
Количество уровней
2
Количество комнат
6
Материалы дома
Дерево
Крыша
Металлочерепица
Номер и дата договора
52/17 от 22-01-2026
Посмотреть на карте